フッキソウ(富貴草)

常緑亜低木
北海道〜九州の山地の林内に生える。 雌雄同株。茎の下部は地をはい、上部は斜上して高さ20〜30cmになる。葉は厚く、密に互生し、長さ5〜10cm、幅2〜4cmの卵状楕円形または菱状倒卵形。上半分には粗い鋸葉がある。雄花は茎の上部に密につき、その下に雌花が5〜7個つく。雄花にも雌花にも花弁はなく、4個の萼片がある。果実は核果。長さ約1.5cmの卵形で白く熟す。花期は3〜5月。(野に咲く花)
学名は、Pachysandra terminalis
ツゲ科フッキソウ属



▼2013年4月18日 枕木山▼雄花▼花序の下部に雌花がある。

フッキソウ花

フッキソウ雄花

フッキソウ花

▼雌花▼雄花は萼と雄しべのみ

フッキソウ雌花

フッキソウ雌花

フッキソウ雄花

▼雌花は萼と雌しべのみ。

フッキソウ雌花

フッキソウ花

フッキソウ

フッキソウ




▼2007年4月8日 枕木▼中央が雌花で2花柱。雄花は4本の雄しべ。

フッキソウ花

フッキソウ花

フッキソウ花

フッキソウ花

フッキソウ葉

フッキソウ葉裏面

フッキソウ茎

フッキソウ

フッキソウ

▼2005年3月26日 植栽 浜乃木▼雄花 花弁はなく雄しべのみがある。

フッキソウ花

フッキソウ花

フッキソウ

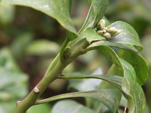
▼2012年4月10日 蕾 枕木山▼花序の下部に雌花がつく。▼雌花も花弁はなく雌しべのみ。

フッキソウ蕾

フッキソウ蕾

フッキソウ雌花

▼花柱が3個あるが、通常は2個。▼まだ閉じている雄花。

フッキソウ雌花

フッキソウ蕾

フッキソウ

フッキソウ葉

フッキソウ葉裏面

フッキソウ

フッキソウ

フッキソウ

▼2012年6月5日 花の後 枕木山▼雌花のあと

フッキソウ

フッキソウ

フッキソウ

フッキソウ

▼2010年5月30日 雌花の後 枕木山

フッキソウ

フッキソウ

フッキソウ

フッキソウ

▼2007年8月19日 来年の蕾 枕木

フッキソウ蕾

フッキソウ



島根県松江市の野草や樹木、シダを載せています。
松江の花図鑑