アオミズ(青水)

1年草
北海道〜九州の湿ったところに生える。茎は水分が多く淡緑色、無毛、高さ30〜50cm。葉は対生、菱状広卵形、短鋭尖頭、基部はくさび形、長さ3〜10cm、鋭鋸歯縁、表面深緑色、しわがあって結晶体が不規則に並び、両面に短毛を散生。葉柄は葉身とほぼ等長。雌雄同株。葉腋から集散花序がでる。雄花は2〜4枚の花被片があり、花被片には小角がある。雄しべ2。葯は白色。雌花の花被は3深裂、裂片は披針形で小角があり、花後果実を包み、果実より短い。果実は卵形、レンズ状で長さ1mm、赤褐色の小点がある。花期は7〜10月。(原色日本植物図鑑)
「雌花花被片3,近等大,或侧生的二枚较大,中间的一枚较小,条形,在果时长不过果实或与果实近等长,而不育的雌花花被片更长;退化雄蕊在果时增大,椭圆状长圆形,长及花被片的一半。」(中国植物志)
冷水花属(ミズ属):「退化雄蕊内折,鳞片状,花后常增大,明显或不明显」(中国植物志ミズ属)
「the staminodes flexed and ready to eject the seeds 」(Tropical Botany
学名は、Pilea pumila
イラクサ科ミズ属
よく似たものにミズがある。やや小型で鋸歯はとがらず数も少ない。葉先は尾状にならない。花序柄は短く葉腋にかたまってつく。



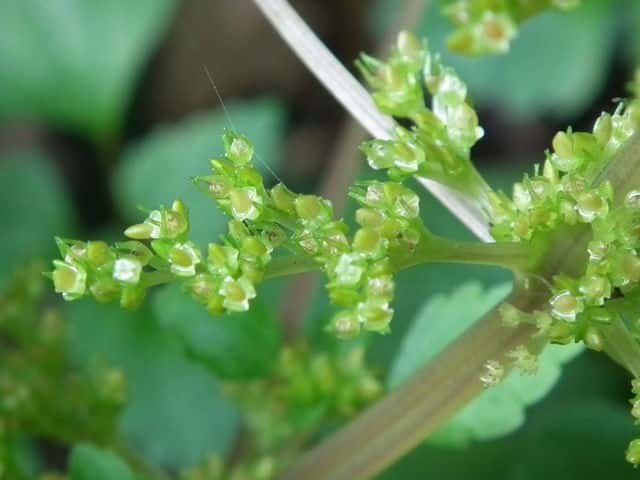
▼2013年10月28日 鹿島▼花被片3個。

アオミズ花序

アオミズ花

アオミズ花

▼雌花、長さ約0.5mm。

アオミズ雌花

アオミズ雌花

アオミズ雌花

▼未熟な果実。▼若い果実。▼若い果実、3個の花被片に包まれている。

アオミズ果実

アオミズ果実

アオミズ果実

▼反対側。▼果実は長さ約1.5mm。▼果実の表面に粒状の突起がある。

アオミズ果実

アオミズ果実

アオミズ果実

▼葉身は長さ約7.5cm、葉柄は長さ約4.5cm。

アオミズ果序

アオミズ葉

アオミズ葉

▼短毛が散生する。▼裏面にも短毛が散生する。

アオミズ葉

アオミズ葉裏面

アオミズ葉裏面

▼茎は無毛。

アオミズ茎

アオミズ

アオミズ




▼2013年9月16日 蕾 八雲▼葉の先端は尖る。

アオミズ蕾

アオミズ葉

アオミズ葉

▼葉身は5〜6cm。▼葉の裏面。

アオミズ葉

アオミズ葉

アオミズ葉裏面

▼株の茎から発根している。

アオミズ茎

アオミズ

アオミズ

▼2007年9月8日 島根

アオミズ花序

アオミズ雄花

アオミズ葉

アオミズ葉

アオミズ葉裏面

アオミズ茎

アオミズ

▼2004年10月3日 八雲▼葉先は尖る。▼葉の表面に毛がある。

アオミズ花序

アオミズ葉

アオミズ葉

アオミズ

▼2017年11月25日 果実 枕木

アオミズ果実

アオミズ果実

アオミズ果実

▼果実は3個の花被に包まれている。

アオミズ果実

アオミズ果実

アオミズ果実

▼花被片の先端に小突起がある。▼花被と果実の間に退化雄しべがある。

アオミズ果実

アオミズ果実

アオミズ果実

▼果実の基部に半透明の退化雄しべがある。▼花被の先端に角状突起がある。

アオミズ果実

アオミズ果実

アオミズ果実

▼基部の退化雄しべは内側に折れている。▼内側に丸く折れた退化雄しべは、伸びて果実を押し出す。

アオミズ果実

アオミズ果実

アオミズ果実

▼果実は長さ約1.6mm。▼線形の模様がある。

アオミズ果実

アオミズ果実

アオミズ果実

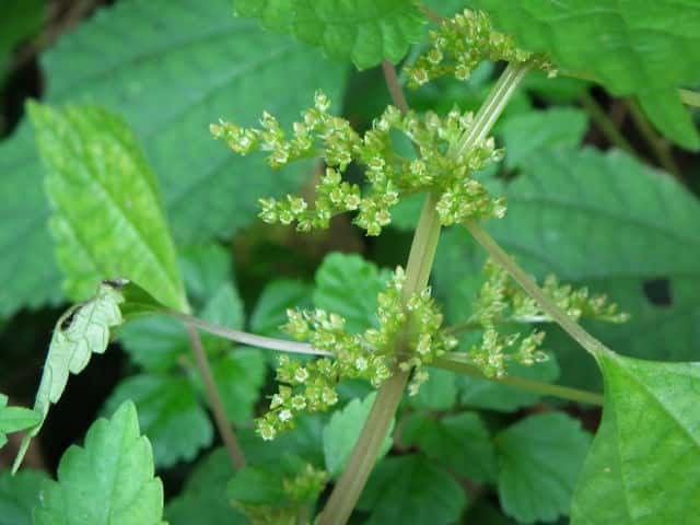
▼畝状の隆起がある。▼葉腋から集散花序を出す。▼葉は葉柄が長い。

アオミズ果実

アオミズ果序

アオミズ葉

▼葉身は長さ約8.5cm。▼短毛が散生する。▼微細な毛が多数ある。

アオミズ葉

アオミズ葉

アオミズ葉

アオミズ葉

アオミズ葉

アオミズ葉裏面

▼葉の裏面に微細な毛が多数ある。

アオミズ葉裏面

アオミズ葉裏面

アオミズ葉裏面

▼茎は無毛。

アオミズ茎

アオミズ

アオミズ

アオミズ

アオミズ

▼2014年10月28日 果実 玉湯▼果実は3裂した花被に囲まれている。

アオミズ果実

アオミズ果実

アオミズ果実

▼果実は長さ約1.5mm。▼表面に細かな粒状の突起がある。

アオミズ果実

アオミズ果実

アオミズ果実

▼葉身は約5cm、葉柄は3cm。

アオミズ果序

アオミズ葉

アオミズ葉

▼表面に短毛が散生する。▼裏面脈上に短毛が散生する。

アオミ葉

アオミズ葉裏面

アオミズ果序

▼茎は無毛。

アオミズ果序

アオミズ茎

アオミズ

アオミズ

▼2010年11月6日 果実 東長江

アオミズ果序

アオミズ果実

アオミズ


▼葉の裏面には毛が散生する。

アオミズ葉

アオミズ葉裏面

アオミズ

▼2009年11月23日 果実 宍道

アオミズ果実

アオミズ果実

アオミズ葉

アオミズ

▼2004年10月30日 果実 乃白

アオミズ果序

アオミズ果序

アオミズ葉

アオミズ

アオミズ



島根県松江市の野草や樹木、シダを載せています。
松江の花図鑑